
Treść uchwały regulującej zagospodarowania przestrzeni w samorządzie Jabłonna. Poniżej znajdziesz fragment uchwały wraz z linkiem do pełnej jej treści opubliowanej przez Urząd Gminy Jabłonna, a także tabelaryczny wykaz planów zagospodarowania przestrzeni (MPZP).
Warszawa, dnia 8 grudnia 2023 r.
Poz. 13798
Podpisany przez:
Ewa Bogumiła Mielniczuk-Kapusta
Data: 2023-12-08 10:50:03
z dnia 25 września 2023 r.
w sprawie uchwalenia miejscowego planu zagospodarowania przestrzennego gminy Jabłonna dla rejonu węzła ulic Janowskiej i Chotomowskiej w Jabłonnie
Na podstawie art. 18 ust. 2 pkt 5 ustawy z dnia 8 marca 1990 r. o samorządzie gminnym (t.j. Dz. U. z 2023 r. poz. 40 ze zm.¹) oraz art. 20 ust. 1 ustawy z dnia 27 marca 2003 r. o planowaniu i zagospodarowaniu przestrzennym (t.j. Dz. U. z 2023 r. poz. 977 ze zm.²)) oraz w związku z uchwałą nr X/128/2019 Rady Gminy Jabłonna z dnia 2 września 2019 r. w sprawie przystąpienia do sporządzenia miejscowego planu zagospodarowania przestrzennego gminy Jabłonna dla rejonu węzła ulic Janowskiej i Chotomowskiej w Jabłonnie, stwierdzając że plan nie narusza ustaleń Studium uwarunkowań i kierunków zagospodarowania przestrzennego gminy Jabłonna przyjętego uchwałą nr VI/45/2015 Rady Gminy Jabłonna z dnia 25 marca 2015 r., Rada Gminy Jabłonna uchwala co następuje:
§ 1. 1. Uchwala się miejscowy plan zagospodarowania przestrzennego gminy Jabłonna dla rejonu węzła ulic Janowskiej i Chotomowskiej w Jabłonnie, zwany dalej planem.
2. Granice obszaru objętego planem oznaczono na rysunku planu w skali 1:1000, stanowiącym załącznik nr 1 do uchwały, będącym integralną część niniejszej uchwały.
3. Załącznikami do niniejszej uchwały są ponadto:
§ 2. Określenia stosowane w uchwale oznaczają:
1) dach płaski – należy przez to rozumieć dach o kącie nachylenia głównych połaci dachowych nie większym niż 12°;
1) Zmiany opublikowane w Dz. U. z 2023 r. poz. 572 i 1463.
2) Zmiany opublikowane w Dz. U. z 2023 r. poz. 1506, 1597 i 1688.
TERYT | Data uchwały | Numer uchwały | Nazwa | |
---|---|---|---|---|
1 | 140802 | 25-09-2023 | LIV/631/2023 | UCHWAŁA NR LIV/631/2023 RADY GMINY JABŁONNA z dnia 25 września 2023 r. w sprawie uchwalenia miejscowego planu zagospodarowania przestrzennego gminy Jabłonna dla rejonu ulic Zegrzyńskiej, Królewskiej i Listopadowej w Jabłonnie |
2 | 140802 | 25-09-2023 | LIV/630/2023 | Uchwała w sprawie uchwalenia miejscowego planu zagospodarowania przestrzennego gminy Jabłonna dla rejonu ulicy Rubinowej w Trzcianach. |
3 | 140802 | 25-09-2023 | LIV/629/2023 | w sprawie uchwalenia miejscowego planu zagospodarowania przestrzennego gminy Jabłonna dla rejonu ulic Piaskowa, Parkowa i Modlińska w Jabłonnie |
Chcesz poznać informace dotyczace pozwoleń na budowę? Zagospodarowanie przestrzeni, Zagrożenia i uciążliwości, fizjografia terenu ... Ponad 20 tematów raportu. Wygeneruj raport dla swojej działki.
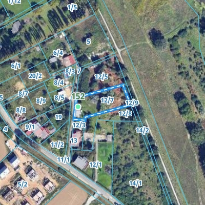
Zobacz przykładowe dane z raportu o działce. Działka znajduje się przy ul. Modlińska 152.
P1. budowa schodów zew. żelbetowych przy istn. bud. mieszkalnym jednorodzinnym II kond. prowadzących do pom. strychu
P2. przebudowa i remont elewacji w zakresie stolarki okiennej w budynku biurowym
P3. budowa wolnostojącego bud jednorodzinnego z infrastr techn i zjazdem indywidualnym
P4. budowa domu jednorodzinnego
P5. Budowa budynku mieszkalnego jednorodzinnego wolnostojącego wraz z niezbędną infrastrukturą techniczną
Z1. energia
Z2. budowa sieci kablowej niskiego napięcia do Zk, zasilanie zespołu budynków jednorodzinnych
Z3. budowa sieci wodociągowej PEHD DE160 i DE125 dla zespołu 14 budynków mieszkalnych jednorodzinnych w zabudowie wolnostojącej
Z4. budowa sieci kablowej nn
Z5. budowa sieci wodociągowej PEHD DE160 i DE125 dla zespołu 14 budynków mieszkalnych jednorodzinnych w zabudowie wolnostojącej
Wyszukaj swoją działkę na mapie w Geoportalu Jabłonna. Twórz raporty o wybranym terenie w wersji PDF oraz na mapie interaktywnej. Prześwietl swoją działkę pod kątem ponad 20 aspektów.
Jabłonna, wieś w województwie mazowieckim, położona w powiecie legionowskim, ma długą historię sięgającą średniowiecza. Pierwsze wzmianki o Jabłonnie pochodzą z XV wieku. W XVIII wieku rezydencję w Jabłonnie założył książę biskup Michał Jerzy Poniatowski, brat króla Stanisława Augusta. W XIX wieku pałac w Jabłonnie stał się ośrodkiem artystycznym i intelektualnym. Po II wojnie światowej obszar ten rozwijał się jako miejscowość podmiejska Warszawy, przyciągając mieszkańców stolicy szukających spokojnego miejsca do życia z dala od miejskiego zgiełku.
Gmina Jabłonna jest dynamicznie rozwijającym się obszarem w powiecie legionowskim, województwie mazowieckim. Nowy plan zagospodarowania przestrzennego dla rejonu węzła ulic Janowskiej i Chotomowskiej w Jabłonnie stanowi kluczowy dokument dla przyszłości tego terenu. Plan ten ma na celu zharmonizowanie rozwoju urbanistycznego z potrzebami mieszkańców oraz inwestorów. Dzięki strategicznemu położeniu w pobliżu Warszawy, Jabłonna przyciąga zarówno osoby poszukujące spokojnego miejsca do życia, jak i inwestorów zainteresowanych rozwojem infrastruktury mieszkaniowej i usługowej. Plan uwzględnia także poprawę infrastruktury technicznej oraz komunikacyjnej, co zwiększa atrakcyjność inwestycyjną regionu. Jabłonna, z bogatą historią i dynamicznym rozwojem, jest atrakcyjnym miejscem dla osób planujących zakup działki i osiedlenie się w tej okolicy.
Lokalizacja | gmina Wrocław Miasto (dolnośląskie, Wrocław) |
Numery działek | 12/7 |
Powierzchnia działek | 2 072,53 m2 |
Współrzędne geograficzne | 51.09143678, 17.13556437 |
Wysokość n.p.m. | 116 m |
Data raportu | 2025-09-02 |
Potrzebujesz kompleksowego raportu o Twojej działce podlegającej pod Urząd Gminy Jabłonna? Analizuj wybrany przez Ciebie teren pod kątem ponad 20 aspektów.
Ryc. 2. Położenie działki na której znajduje się Urząd Gminy Jabłonna.